Posted on August 28th, 2024
Thanks to the heat there was some fog to contend with on the ocean today. As long as you use radar and be careful it’s still OK to venture out the inlet. If you don’t have radar, you might want to take a second thought.
Young Piper Blunt had a great day on board The Wrecker catching three white marlin with her dad, Jeremy at the helm and mates Bobby, Cody and James in the cockpit.
Anglers fishing on the Spring Mix II with Captain Chris Watkowski didn’t have any white marlin, but they did have some false albacore and a box full of mahi.
Captain Nick Sampson of the WOP was at it again today and had a great day for his anglers. They caught rosefish, tilefish, and even a big lingcod.

Mike and John Brockmeyer had a great day fishing the Ocean City Inlet with live spot. They caught two keeper flounder up to 19 inches and two sea trout up to 25 inches.
Captain Chris Mizurak of the Angler reported a slow start to fishing today, but by the end of the day, they had a very nice catch of Seabass.
Captain Monty Hawkins of the Morning Star had a cool day on the ocean today!
Greetings All,
Fishing a super light rail for mahi has been mostly fun. Had one recent day (Monday!) that was a real clunker. Otherwise, when mahi bit? Fine. If not? Sea bass would save the day.
On the 27th and 28th, however, we landed boat limits of mahi. Nothing especially large but keepers for sure. George was first with a limit at 10:33 today – a full boat limit at 11:45…
See below for my explorations on the 27th made possible by Video Ray ROVs in Pottstown PA..
Reef Report 8/27/24 – A Habitat Investigation & Artificial Reef Monitoring Trip.
An undecended fog hung darkly above Ocean City and surrounding waters as we departed 6:30 Tuesday morning, August 27, 2024. Inlet calm, seas calm; visibility soon dropped to a hundred yards or so. It wandered between 25 yards and a quarter mile all day; was crazy tight coming back in – an instrument approach all the way to Shantytown Channel.
No ordinary fishing trip; I had two engineers and $350,000+ worth of ROV (u/w Remote Operated Vehicle) equipment from Video Ray, a Pottstown PA company (videoray.com) that does u/w inspection & recovery/locating work for first responders & all our allies around the world.
Jason & Liam were here to not only test new equipment, but to look at some of our natural and artificial reefs while doing so.. “Know a boat we can use?”
Matter of fact, I did..
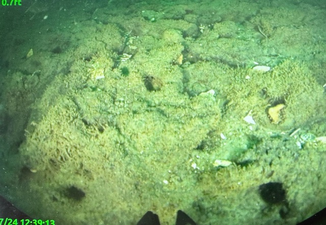
My first stop was on natural reef in 115 feet of water. I’ve been trying to determine if our greening sea has stymied sea whip colonization off DelMarVa. Though still quite productive, reef we saw there was not as healthy as shallower reefs. We found sea whip (a soft coral) there if growing more sparsely than anticipated. The area has produced millions of sea bass across the decades for com trap & rec fishers.
I don’t know of any US work on sea whip, but in Australia they have it as a zooxanthellae driven gorgonian (an orange soft coral that uses sunlight to feed in the way many shallow water corals do. A healthy colony will look like an orange meadow – I call em whip meadows. Fluke and sea bass love it as habitat.)
We have sea whip in great number from 55 to 90 feet. They get thinner as you go deeper. (Haven’t checked shallower lately) Is Sunlight really needed?
Consider.. Where, say, the hull of a barge is collapsed yet the deck is standing on it’s uprights, it will leave a large empty void. You will find sea whip where light strikes the deck substrate.
But underneath?
Where there’s no sun?
Here many sessile animals (cannot move or swim – mussels, corals etc) ..many animals will colonize these shaded places; no whip or star coral will be found.
Similarly – if too deep? No whip.
If sunlight is key, and it is; then I believe the oyster collapse of the 1970s lead to the Mid-Atlantic Ocean’s eutrophication. That’s just fancy science talk for too many nutrients in the water that feed rapidly growing algae populations. That algae is what makes the ocean and estuaries green.
Eutrophication has, I believe, caused our offshore sea whip habitat footprint to shrink–to contract. They are not as far off as they once were. It’s going to take some digging, but I’m 90% sure I have VHS tape from 2004 of whip growing on the deepest reef we looked at with VisionRay’s ultra advanced ROV equipment. I also have some old time commercial friends still in this world..
2004 – sea whip growth. This time? Same exact reef now in 2024? Not One Sea Whip..
And I do mean none.
More work is required – there are many more reefs to compare; but that’s what I’ve been thinking – it’s shrinking. . .
I sure hope the fellows from Video Ray will help with further explorations. If I put Nick Caloyianis & Co down there they’d only have a few minutes – and one dive. When divers are looking at inshore reefs in much shallower water we so multiple dives with a good amount of bottom time.
Though a bottom trawl will dern sure give a reef a haircut, I don’t think what we saw on the deepest reef was trawl damage – – I think the absense of whip in 130ft is an artifact of a greening ocean.
Like I wrote – will need more investigation..
The only bad drop was on Benny LaSalle’s Memorial Reef.
We had No Vis!! Deepest part of the Bass Grounds – had 7.5 fathoms (45ft) of visibility up top–not quite Caribbean but excellent for DelMarVa, yet Mississippi mud vis near bottom.
Darn.. Another day to explore Benny’s.
We also looked at 4 other reefs.
Did I mention we found a floating basket? Two engineers and my crew limited on mahi in very short order. I was using a sea bass jig. Mahi would NOT let me get below the peanut mahi up top.
Nice..
In truth, as I’ve told many marine ecologists, “If bottom could be destroyed, it was.” Some areas completely, some at least partly – and all post WWII into the late 1970s when commercial trawl really sprang to life with cheap surplus diesels.
Corals on our Bass Grounds reef grew on a soft marsh-like peat; a substrate easily crumbled in the hand ..and very easily crushed with 15 ton clam dredges that liquify the bottom. Both commercial trap and recreational party/charter fished w/o issue almost five decades.
Then the Bass Grounds were destroyed by surfclam boats in the early/mid-1970s.
I had no idea what he was talkin about back in 1981 when Capt. Ward Brex said to me: “We had the best sea bass fishing on the coast and let them destroy it.”
He was a hardened professional mariner – took a route to Brazil, as I recall, during the winter; was owner of the Mast restaurant and Taurus 1/2 day partyboat. He was crying about the loss of habitat…
Today’s surf clam/quahog boats dredge on the tops of shoals. Doesn’t seem good for sand eels (crucial forage) but sure doesn’t harm what remains of our hard bottom coral substrates.
While we’ve had virtually no trawling on hardbottom reefs here now in nearly fifteen years, (MD summer flounder quota is largely leased to large companies in upper NJ) ..commercial impacts from stern towed gear on soft substrates have been nonexistant.
Where softer substrates were lost some 50/60 years ago? Unless restored whatever value to fisheries productions our region once had will remain absent.
I did video impacts I observed, but those barren rock bottoms grew back during this recent period. Where substrate is either rock or sandstone? Regrowth is possible – not assured – yet likely given no further impacts occur.
I know of some rocky areas apparently not in good position to catch coral spawn that have not had growth since I first videoed them.
I believe it was 2001/02 when commercial fluke limits were raised considerably.
After a decade of catching a tiny daily quota very close to home; the first place MD’s trawlers went was the whalebone slough in almost twenty fathoms. It happens this was an area of amazing growth – but not sea whip. Here bottom used by tens of thousands of sea bass (yes, really – I used to fish there once a week with 60/70 anglers with no bag limit) ..the “reef” on that bottom was numerous tube worm colonies. The growth was so dense and so soft your sinker would feel like it hit a pillow. I had half a dozen more spots like it into just 10 fathoms.
Today I have none.
Trawlers call tube worm colonies ‘spaghetti mud.’ They can and do lose nets to a dense patch of tube worm. Here divers can recover their gear – that’s not always possible from a wreck.
Late in the period of virtually no trawling outside 4 or 5 miles (1990s/2000) when OC Trawlers could catch their measly 100 lb limit in an hour inshore, bottoms from 10 to 25 fathoms rested and recovered for almost a decade.
I wrote about it a lot back then.
For all the language in Manuson Stevens about Essential Fish Habitat, I did not get NOAA’s attention, but I did try.
Begining in 2001 – “Hey Congress! Hey NOAA Habitat People! Coral Reefs Here! Take A Look!”
Naw..
I just did get a letter from a fellow at NOAA’s MD Oxford Lab expressing considerable interest. We’ll see..
I though NOAA was interesred in 2007 when they sent the brand new, fifty million dollar research ship Bigelow on a fourth of July cruise.
No one aboard knew how to operate their state of the art Remote Operated Vehicle (ROV) or top-shelf multibeam sidescan sonar.
All the exact locations of reef I’d given the Bigelow were pronounced as ‘sand waves.’
Just Wonderful.
I took thirteen scientists and NGOs a few days later and showed em reef with my two hundred dollar drop camera and ninety-nine dollar WalMart VHS tape/TV combo.
Now with Video Ray’s ROV equipment aboard on the 27th, I returned to one of the places where I’d fished tube worm in many acre patches 30-some years ago.
We did find interesting soft substrates similar to what the Bass Grounds was once comprised of, but no tubeworms. Very few fish were using the substrate. (Soft marsh peat of long ago will have numerous holes dug by I couldn’t guess what and used today by conger eels and white crab. Rock is rock – no holes dug in it. With both substrates it’s the hollowed out shelves beneath peat or rock that fish and lobster like best..)
I then ran a long way to Kinsley Construction’s Bass Grounds Restoration Reef. There we have numerous concrete pyramids poured by Kinsley’s York PA concrete plant. (I invented pyramid molds to capture cement coming back to the plant – waste – wash out. Chris Kinsley? He said ‘heck with that’ – his guys make twenty pyramids every other day with purpose made cement! They’ve made A Lot of pyramids!)
Unfortunately, visibilty was harsh. Not impossible – but hard. Had it not been for Video Ray’s badass forward looking sonar? We’d have not likely found a single pyramid. With sonar? Pyramids stood out wonderfully.
All deployed by the Tiki XIV, some maybe close to two years old – growth on those we observed was wonderful..
Then I anchored atop a new reef from the pipe unit build in March & April of this spring (2024) – my largest reef build ever. This drop will become “Crystal Ann Brinker’s Reef” on our reef charts and is quite healthy already.
I didn’t realize I had the boys on a three-pipe unit. Others there are even 10 pipes cabled together. Still, there was no bare concrete – It was all covered in growth. Corals will be along in five to seven years. (I’ve found the more sea whip and star coral we get growing? The better their spawning production becomes. What used to take 15 years to get modest coral growth is now covered in 6 or 7 years.)
Our last stop was “Uncle Murphy’s Memorial Reef” – a landing craft Aberdeen Proving Grounds gave us two years ago innthe Ringmaster Reef Group.
Man. I knew it was going to be a great reef.
Shall be indeed.
Maryland is the only state from Massachusetts to Texas without a marine reef program. Our little nonprofit, the Ocean City Reef Foundation, is it for ocean habitat work. We’re at ocreefs.org if you’d care to help.
Cheers,
Monty
Hit the vid to see Kristen’s nice flounder…..and subscribe!!
https://youtu.be/ZhfQkg0EfH4?si=feAkCWD2CWrvjM5Q



